Why Ant Infestations Keep Returning Without Professional Treatment

Understanding why ant infestations keep returning without professional treatment highlights the importance of local contractors who can identify and eliminate the root causes effectively.

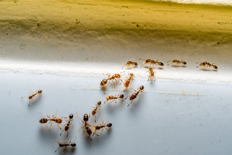
Many property owners find themselves frustrated by ant infestations that seem to keep coming back, even after repeated attempts at removal. This persistent issue often stems from underlying factors that DIY methods may not fully address, such as hidden colonies or access points that go unnoticed. Understanding the root causes of why ant infestations keep returning can help homeowners and business owners take more effective steps to manage the problem. Local contractors specializing in ant infestation control are equipped to identify these hidden issues and implement targeted solutions, ensuring a more lasting result.

Exploring why ant infestations keep returning without professional treatment highlights the importance of thorough inspection and expert intervention. Ant colonies can be complex, with nests located deep underground or within wall voids, making it difficult for standard treatments to reach all reproductive members. Property owners who seek assistance from experienced service providers often find that a comprehensive approach is more successful in breaking the cycle of recurring invasions. By connecting with local professionals, those dealing with persistent ant problems can access the specialized knowledge needed to keep these pests at bay for good.

Get Quotes for Ant Infestation Control

  • Ant Infestation Prevention - homeowners noticing recurring ant problems despite DIY efforts can benefit from local contractors who implement targeted treatments to eliminate existing colonies and address entry points.
  • Ant Nest Removal - when ant colonies persist underground or inside structures, local service providers use specialized methods to locate and eradicate nests to prevent future infestations.
  • Ant Barrier Installation - properties experiencing frequent ant reappearances may require professional barrier treatments that create a protective zone around the home, handled by local experts.
  • Infestation Inspection and Identification - ongoing ant issues often stem from hidden or hard-to-reach nests, with local pros performing thorough inspections to identify and treat all sources.
  • Residual Treatment Services - if ant problems keep returning after basic treatments, local contractors can apply residual solutions that provide longer-lasting control and reduce re-infestation chances.
Why Ant Infestations Keep Returning Without Professional Treatment
Why Ant Infestations Keep Returning Without Professional Treatment
Why Ant Infestations Keep Returning Without Professional Treatment

When people search for why ant infestations keep returning without professional treatment, they are often trying to understand the persistent nature of these pests and why DIY methods may not be enough to eliminate them completely. Ant infestations can be frustrating because they tend to reappear even after attempts to remove them, leading homeowners to wonder what underlying issues are causing this recurrence. This topic relates to ongoing pest problems that disrupt daily routines and may threaten property integrity, especially if the ants are nesting inside walls, under foundations, or in other hidden areas. Homeowners typically seek guidance on how to break the cycle of recurring ants and are interested in understanding the importance of professional intervention to address the root causes.

The problems connected to this topic often involve identifying the source of the infestation and understanding the ants' behavior. Many searches are driven by experiences of seeing ants reappear despite repeated efforts to eliminate them with sprays, bait traps, or home remedies. The plans homeowners consider usually include DIY strategies, but these often fall short because they do not target the entire colony or nesting sites. The recurring nature of ant problems can also be linked to the presence of accessible food sources, moisture issues, or structural entry points that allow ants to continually invade the property. This makes it clear that resolving the issue requires a comprehensive approach that considers both the ants' biology and the environment they thrive in.

Properties that commonly experience issues with persistent ant infestations are typically residential homes, especially those with yards, gardens, or food storage areas. Single-family houses, townhomes, and apartment complexes are all susceptible, particularly if they have cracks, gaps, or other entry points. Structures with accessible food sources, such as kitchens, pantries, or outdoor dining areas, tend to attract ants more frequently. Additionally, properties located near wooded areas, gardens, or water sources are more prone to recurring infestations because these environments provide ideal nesting and foraging conditions. Understanding the type of property helps homeowners recognize the importance of targeted treatments by service providers who can address specific entry points and nesting sites.

Local ant infestation control service providers play a crucial role in breaking the cycle of recurring ant problems. These professionals have the knowledge and tools to identify the source of the infestation and implement targeted treatments that go beyond surface-level solutions. They can inspect the property thoroughly, locate hidden nests, and apply treatments that eliminate entire colonies rather than just visible ants. This comprehensive approach is often necessary because ants tend to establish colonies deep within walls, underground, or in other hard-to-reach areas. Connecting with experienced local contractors ensures that homeowners receive tailored solutions that address the root causes of why ant infestations keep returning without professional treatment, ultimately leading to more effective and lasting results.

Pest Inspection Projects - These projects involve thorough inspections to identify hidden ant colonies and entry points, which is essential for addressing why ant infestations keep returning without professional treatment.

Home Sealing and Repair Projects - Local contractors specializing in sealing cracks and repairing structural vulnerabilities help prevent ants from re-entering the property, reducing recurring infestations.

Barrier Treatment Projects - Applying physical or chemical barriers around a property is a common method used by local pros to block ant access and break the cycle of returning infestations.

Moisture Control Projects - Managing moisture sources like leaks and damp areas is crucial, as many ant problems persist due to environmental conditions that attract and sustain colonies.

Landscape Modification Projects - Adjusting landscaping, such as removing mulch or trimming plants near the home, can eliminate ant hiding spots and entry routes, aiding in long-term control.

Sanitation Improvement Projects - Enhancing cleanliness and removing food sources helps prevent ants from establishing persistent colonies, supporting efforts to stop infestations from recurring.

Why Ant Infestations Keep Returning Without Professional Treatment

When comparing local contractors for ant infestation control, it’s important to consider their experience with similar projects. Homeowners should look for service providers who have a proven track record of effectively handling ant infestations, especially those that keep returning despite previous efforts. An experienced contractor will understand the common reasons why ant infestations persist, such as hidden nesting sites or access points, and will be better equipped to develop a comprehensive treatment plan. This background can make a significant difference in achieving long-lasting results and preventing recurring issues.

Clear written expectations are essential when evaluating ant infestation control services. Homeowners should seek service providers who provide detailed descriptions of what the treatment process entails, including any follow-up steps or recommendations for ongoing prevention. Having a transparent plan helps ensure that both parties are aligned on the scope of work and what to expect, reducing misunderstandings and ensuring that the treatment addresses the root causes of the problem. Well-documented expectations also serve as a helpful reference should questions or concerns arise during or after the service.

Reputable references and effective communication are key factors when choosing local contractors for ant control. Homeowners should inquire about references or reviews from previous clients who faced similar challenges with persistent ant problems. Additionally, service providers who communicate clearly and promptly can better explain the treatment options, answer questions, and provide guidance for ongoing prevention. Good communication fosters trust and confidence that the contractor understands the specific issues contributing to the recurring ant infestations and is committed to addressing them thoroughly.

Get a Quote for Ant Infestation Control

Property owners often search for why ant infestations keep returning without professional treatment when they are planning practical projects around their homes and businesses. Local pros provide Ant Infestation Control services for everyday jobs and straightforward project options.

Why Ant Infestations Keep Returning Without Professional Treatment
Why Ant Infestations Keep Returning Without Professional Treatment

Ant infestations tend to keep returning when underlying attractants or nesting sites are not fully addressed. Many property owners may notice ants repeatedly appearing in kitchens, bathrooms, or around entry points, but without professional treatment, the colonies often survive and expand. Local contractors who specialize in ant control can identify hidden trails, access points, and food sources that might be overlooked during routine cleaning or DIY efforts, helping to break the cycle of recurring infestations.

Another common reason why ant infestations persist is that simple measures may not eliminate the entire colony. Ants have complex nesting habits and can establish colonies deep within walls, beneath foundations, or in other hard-to-reach areas. Property owners seeking long-term relief often turn to experienced service providers who have the tools and expertise to locate and treat hidden nests effectively. These local contractors can implement targeted solutions that reduce the chances of ants returning, ensuring a more lasting outcome.

Get a Quote for Ant Infestation Control

Why do ant infestations keep returning even after cleaning? Ant infestations often persist because they have established hidden colonies or nest sites that are difficult to locate and treat without professional assistance. Local contractors can identify and eliminate these hidden sources to prevent recurring issues.

How does ignoring the root cause lead to ant reinfestation? Focusing only on visible ants without addressing the colony or entry points allows ants to continually re-enter the space. Local pros can assess and seal entry points and eliminate colonies to break the cycle of reinfestation.

Can environmental factors contribute to ants returning? Yes, factors such as moisture, food sources, and structural gaps attract ants and support their colonies. Professional ant control services can identify and address these environmental factors to reduce the likelihood of return.

Why is DIY ant control often ineffective long-term? Do-it-yourself methods may kill visible ants but usually do not eliminate hidden colonies or nesting sites. Local service providers use targeted treatments to ensure complete removal and prevent future infestations.

How can local ant control services help prevent future infestations? Local pros conduct thorough inspections to locate colonies, seal entry points, and apply treatments that target the entire ant population, reducing the chances of ant infestations returning without ongoing treatment.

Identifying Hidden Entry Points - Property owners can work with local contractors to locate and seal small cracks and gaps where ants enter, reducing future infestations.

Eliminating Food and Water Sources - Practical projects include organizing storage areas and fixing leaks to remove attractants, with guidance from local pros.

Removing Nesting Sites - Clearing debris, trimming vegetation, and treating soil around the property can help disrupt ant nesting, supported by local service providers.

Implementing Preventive Barriers - Applying physical or chemical barriers around structures can deter ants from returning, with assistance from local ant control specialists.

Why Ant Infestations Keep Returning Without Professional Treatment

If you are thinking about why ant infestations keep returning without professional treatment for a property, this guide is meant to help you understand this topic, the typical project types, and how different options might fit your plans.

When you are ready, you can use the quote form on this page to share a few details about your project. From there, local pros can review the basics and follow up with options that match what you have in mind.

Get a Quote for Ant Infestation Control

Ant Infestation Control Quotes

Our Trusted Partners
Cantu Pest Control
Orkin
Hawx Pest Control