Local Service Overview

Get Ants Extermination Service in Mesquite, TX

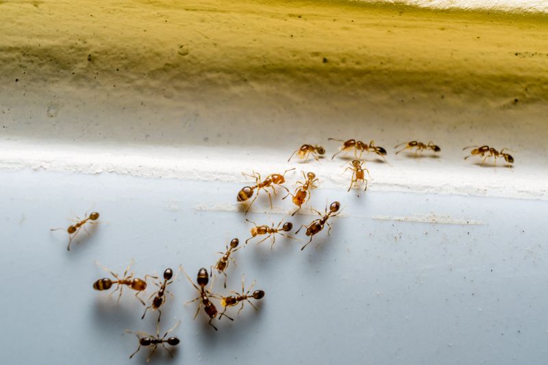
Ants extermination services for property owners in Mesquite, TX, and nearby areas address ant infestations, prevent future invasions, and handle residential and commercial pest control projects.

Mesquite, TX

Ants extermination services are commonly sought by property owners in Mesquite, TX to maintain a comfortable and hygienic living environment. Effective pest control helps prevent ant infestations that can disrupt daily routines, damage property structures, and contaminate food supplies. By addressing these issues promptly, homeowners can enjoy a safer and more functional space, reducing the likelihood of recurring problems that may require extensive maintenance or repairs.

Choosing professional ant extermination also enhances curb appeal by keeping outdoor areas and entry points free of visible pests and nests. This not only contributes to a more attractive property but also helps protect the integrity of landscaping and exterior features. Property owners typically look for solutions that deliver long-lasting results, minimizing future pest issues and maintaining the durability of their homes and outdoor spaces.

Get Ants Extermination Service Quotes

  • Ants Extermination - Needed when ants invade residential or commercial spaces in Mesquite, TX and surrounding areas.
  • Ants Extermination - Suitable for addressing persistent ant problems in kitchens, pantries, or outdoor areas.
  • Ants Extermination - Recommended when ant colonies are discovered in lawns, gardens, or near building foundations.
  • Ants Extermination - Appropriate for preventing future ant infestations after initial treatment.
  • Ants Extermination - Essential when dealing with invasive ant species that threaten property or comfort.

Get Ants Extermination Service Quotes

Ants Extermination Service
Ants Extermination Service
Ants Extermination Service

Ants extermination services involve the identification and elimination of ant colonies that invade residential, commercial, or industrial properties. Professional pest control providers typically conduct thorough inspections to determine the extent of the infestation and locate the nests. Treatment methods may include the application of targeted baits, insecticidal sprays, or dusts designed to eliminate ants at their source. These services aim to reduce ant populations effectively and prevent future invasions, helping property owners maintain a pest-free environment.

Ant infestations can cause various problems, ranging from minor nuisances to more significant issues such as contamination of food supplies and structural damage. Certain species, like fire ants, can pose health risks due to their painful stings, while carpenter ants may compromise the integrity of wooden structures by burrowing into walls and support beams. Extermination services help address these concerns by removing the pests and implementing strategies to minimize the likelihood of re-infestation, thereby safeguarding both property and occupant health.

Properties that commonly utilize ants extermination services include single-family homes, apartment complexes, restaurants, and retail stores. Residential properties often seek treatment to protect kitchens, pantries, and outdoor spaces from persistent ant activity. Commercial establishments, especially those involved in food service or storage, prioritize pest control to adhere to health regulations and maintain a clean environment. Additionally, warehouses and industrial facilities may require specialized treatments to manage large-scale infestations and prevent disruptions to operations.

Professional ant extermination services are tailored to meet the needs of various property types and infestation levels. Local service providers use proven techniques and products to target specific ant species, ensuring effective control regardless of the property size or location. Contacting a local pest control expert can help property owners develop a customized plan to address ant problems promptly and efficiently, maintaining a pest-free space.

The overview below groups typical Ants Extermination Service projects into broad ranges so you can see how smaller, mid-sized, and larger jobs often compare in Mesquite, TX.

In many markets, a large share of routine jobs stays in the lower and middle ranges, while only a smaller percentage of projects moves into the highest bands when the work is more complex or site conditions are harder than average.

Initial Inspection - The cost for an ant inspection typically ranges from $50 to $150, depending on property size and complexity. This fee usually covers a thorough assessment to identify ant activity and entry points.

Basic Treatment - A standard ant extermination service can cost between $100 and $300 for a single treatment. Prices may vary based on the extent of the infestation and treatment methods used.

Multiple Treatments - For ongoing ant problems requiring multiple visits, costs generally range from $200 to $600. This includes follow-up treatments to ensure complete eradication.

Preventive Services - Preventive ant control services often cost between $150 and $400 annually. These services focus on barrier treatments and exclusion techniques to reduce future ant entry.

Actual totals will depend on details like access to the work area, the scope of the project, and the materials selected, so use these as general starting points rather than exact figures.

Get an Ants Extermination Service Quote

Ants Extermination - Local pest control providers offer targeted ant extermination services to eliminate colonies and prevent future infestations in residential and commercial properties.

Ant Control for Homes - Specialists focus on identifying ant entry points and applying effective treatments to protect homes from persistent ant invasions.

Commercial Ant Pest Management - Commercial pest control services address ant problems in business settings, ensuring minimal disruption while removing existing colonies.

Outdoor Ant Treatment - Professionals apply outdoor treatments to eliminate ant nests and create a barrier to prevent ants from entering structures.

Ant Infestation Inspection - Pest control experts conduct thorough inspections to locate ant colonies and determine the most effective extermination approach.

Barrier Treatments for Ants - Service providers utilize barrier treatments around properties to inhibit ant access and reduce the likelihood of future infestations.

Ants Extermination Service

When selecting a professional for ant extermination services, it is important to consider the experience of local providers. Established contractors with a history of handling ant infestations in Mesquite, TX, and surrounding areas often bring valuable knowledge of local pest behaviors and effective treatment methods. Reviewing the background of potential service providers can help ensure they have a proven track record in managing ant issues similar to those faced by homeowners in the community.

Clear and detailed communication from a pest control provider is essential to set proper expectations for the extermination process. Reputable local pros typically offer comprehensive information about their services, including the scope of work, methods used, and any follow-up procedures. This transparency allows homeowners to understand what to expect and helps foster a trusting relationship throughout the treatment process.

References from previous clients and reputable sources can also be useful when comparing local ant extermination providers. Many experienced service providers can provide references or testimonials that highlight their reliability and effectiveness. While the lead-generation platform connects homeowners with local pros, it is advisable to verify references and seek recommendations to ensure selecting a reputable and trustworthy provider for ant control needs.

Get an Ants Extermination Service Quote

Property owners in Mesquite, TX use Ants Extermination Service services for practical projects around their homes and businesses. The sections below highlight everyday jobs and straightforward project options.

Ants Extermination Service
Ants Extermination Service

Ants extermination services are commonly sought after by property owners in Mesquite, TX, who encounter persistent ant infestations in their homes or commercial spaces. These pests can invade kitchens, dining areas, and other parts of a property, often attracted by food sources or moisture. Property owners may look for professional assistance to effectively eliminate colonies, prevent future invasions, and maintain a clean and comfortable environment.

In addition to immediate removal, local pros can provide advice on reducing attractants and sealing entry points to help prevent ants from returning. Whether dealing with common household ants or more invasive species, property owners in Mesquite might contact service providers to address their concerns promptly and ensure their spaces remain pest-free.

Get an Ants Extermination Service Quote

How do ant extermination services work? Ant extermination services typically involve inspecting the property to identify ant colonies and entry points, then applying targeted treatments to eliminate existing ants and prevent future infestations.

Are ant treatments safe for pets and children? Most ant extermination methods are designed to be safe for pets and children when applied by professionals, but it’s advisable to discuss any concerns with the service provider beforehand.

How long does an ant extermination treatment last? The effectiveness of ant treatments can vary depending on the method used and the severity of the infestation; many treatments provide protection for several weeks to months.

Can I do ant control myself? While DIY ant control products are available, professional services often provide more comprehensive solutions and can better address complex or persistent ant problems.

What should I do before an ant extermination service? It’s generally recommended to keep the area clean, remove food and water sources, and follow any specific instructions provided by the service provider to ensure the best results.

Ants Identification and Inspection - Local pest control professionals can assess your property to identify ant species and determine the extent of the infestation.

Targeted Ant Extermination Solutions - Experienced service providers offer effective treatment options tailored to eliminate ant colonies and prevent future invasions.

Barrier and Prevention Strategies - Pros can implement barriers and recommend maintenance practices to reduce the likelihood of ants returning to your property.

Ongoing Monitoring and Follow-Up - Regular inspections and follow-up treatments help ensure ant problems are fully resolved and do not recur.

Ants Extermination Service

Considering Ants Extermination Service for a property in Mesquite, TX? The sections above highlight common project types, practical options, and details that often shape the scope of work.

When you are ready, use the quote form to share a few details about your project. Local pros can review the basics and respond with options that match what you have in mind.

Get an Ants Extermination Service Quote

Ants Extermination Quotes

Our Trusted Partners
Cantu Pest Control
Orkin
Hawx Pest Control