Local Service Overview

Get Black Ant Extermination in Carrollton, TX

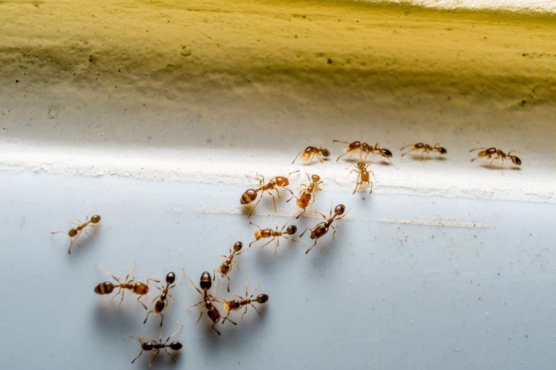
Black ant extermination services for Carrollton, TX, and nearby areas address infestations, eliminate colonies, and handle residential or commercial property ant control projects.

Carrollton, TX

Black ant extermination services are a practical solution for property owners in Carrollton, TX seeking to maintain a comfortable and secure environment. These services help prevent ant infestations that can disrupt daily living, damage structures, or contaminate food supplies. By addressing ant issues promptly, property owners can enjoy a safer and more functional space, reducing the likelihood of pests becoming a persistent problem that requires ongoing attention.

Choosing professional black ant extermination offers several benefits, including enhanced durability of the property’s structure and improved curb appeal. Effective pest control can minimize future maintenance needs by preventing damage caused by ant colonies, while also contributing to a cleaner, more attractive exterior. Engaging experienced service providers ensures that ant problems are managed efficiently, helping property owners sustain a safe, attractive, and well-maintained property in Carrollton, TX.

Get Black Ant Extermination Quotes

  • Ant Extermination - needed when ants invade kitchens, pantries, or outdoor spaces in residential or commercial properties.
  • Carpenter Ant Control - required when these wood-damaging ants establish nests within structures in nearby neighborhoods.
  • Fire Ant Management - necessary for lawns and outdoor areas experiencing aggressive fire ant mounds that threaten safety.
  • Pharaoh Ant Removal - essential in healthcare facilities or food establishments where these tiny ants contaminate supplies.
  • Sugar Ant Eradication - sought after when small ants invade homes or businesses in search of sweet food sources.

Get Black Ant Extermination Quotes

Black Ant Extermination
Black Ant Extermination
Black Ant Extermination

Black ant extermination services focus on eliminating infestations caused by black ants, which are common household pests. These services typically involve thorough inspections to identify the extent of the ant problem and locate their nests or entry points. Treatment methods may include the application of targeted pesticides, baiting systems, and barrier treatments designed to prevent future invasions. Professionals aim to reduce ant populations effectively while minimizing disruption to the property, ensuring a safe and clean environment for residents and occupants.

Addressing black ant problems helps prevent the numerous issues associated with infestations. Black ants can contaminate food supplies, create unsightly trails, and invade living or working spaces, leading to discomfort and potential hygiene concerns. In some cases, their presence may indicate underlying structural issues, such as cracks or gaps in walls, windows, or foundations, which can serve as entry points. Exterminators not only remove the current infestation but also provide advice on sealing entry points and maintaining a pest-free environment.

Properties that commonly utilize black ant extermination services include residential homes, apartment complexes, and multi-family dwellings. Commercial establishments such as restaurants, grocery stores, and food processing facilities also often seek professional pest control to maintain sanitary conditions and comply with health regulations. Additionally, property managers and landlords frequently contact local pest control providers to address recurring ant issues and prevent future outbreaks, especially in areas with favorable conditions for black ant colonies.

Professional black ant extermination services are essential for maintaining a pest-free environment in various property types. Regular inspections and targeted treatments can help prevent infestations from becoming severe, saving property owners from more extensive issues later on. By working with experienced service providers, property owners can ensure that black ant problems are managed effectively and that their spaces remain comfortable and hygienic for residents, employees, and visitors alike.

The overview below groups typical Black Ant Extermination projects into broad ranges so you can see how smaller, mid-sized, and larger jobs often compare in Carrollton, TX.

In many markets, a large share of routine jobs stays in the lower and middle ranges, while only a smaller percentage of projects moves into the highest bands when the work is more complex or site conditions are harder than average.

Initial Black Ant Extermination - The cost for a one-time treatment typically ranges from $150 to $300, depending on the extent of the infestation and property size. Some services may charge more for larger or heavily infested areas.

Ongoing Black Ant Control - Monthly or quarterly service plans usually cost between $50 and $100 per visit, with prices varying based on property size and treatment frequency. These plans help maintain ant-free conditions over time.

Per-Infestation Service - For specific infestations, prices generally fall between $100 and $250 per treatment. Larger or more severe cases may require multiple visits, increasing overall costs.

Additional Treatment Fees - Extra charges might apply for specialized treatments or inaccessible areas, typically adding $50 to $150 to the initial service cost. Contact local pros for precise estimates based on property details.

Actual totals will depend on details like access to the work area, the scope of the project, and the materials selected, so use these as general starting points rather than exact figures.

Get a Black Ant Extermination Quote

Black Ant Extermination services involve professionals who specialize in identifying and eliminating black ant infestations in residential and commercial properties. Local pros use targeted methods to address ant colonies and prevent future issues.

Black Ant Removal projects focus on safely removing black ants from indoor and outdoor spaces, utilizing techniques tailored to the severity of the infestation. Service providers aim to restore pest-free environments efficiently.

Ant Control Treatments services include applying treatments designed to eliminate black ants and their nests, helping to reduce recurring problems. Experts assess the property to determine the most effective control methods.

Infestation Prevention solutions involve strategies to prevent black ant re-infestation, such as sealing entry points and advising on property maintenance. Local contractors offer customized prevention plans.

Residential Ant Extermination services target black ant issues within homes, focusing on interior and exterior areas to eliminate colonies and protect living spaces. Professionals work to ensure a pest-free household environment.

Commercial Ant Control projects address black ant problems in business settings, providing tailored treatments to maintain a safe and pest-free workplace. Local service providers support ongoing pest management needs.

Black Ant Extermination

When selecting a professional for black ant extermination services, it is important to consider their experience in handling ant infestations. Homeowners should inquire about how long a local provider has been operating in the Carrollton area or nearby communities, as well as their familiarity with common ant behaviors and effective treatment methods. Experienced service providers are often better equipped to identify the extent of the infestation and recommend appropriate solutions, ensuring the issue is addressed thoroughly.

Clear communication and well-defined expectations are essential when working with a pest control professional. Homeowners are encouraged to seek out providers who can articulate their treatment approach, outline any necessary preparations, and explain what results to anticipate. Establishing a mutual understanding beforehand can help prevent misunderstandings and ensure the homeowner’s concerns are addressed throughout the process.

Reputable references and reviews can serve as valuable indicators of a local pest control provider’s reliability and quality of service. Homeowners should consider reaching out to previous clients or reviewing testimonials to gauge the provider’s track record. Additionally, a professional who maintains open lines of communication and responds promptly to questions can foster a smoother experience. It is important to remember that this platform introduces local options and is not the contractor performing the work, but rather a neutral resource connecting homeowners with qualified service providers.

Get a Black Ant Extermination Quote

Property owners in Carrollton, TX use Black Ant Extermination services for practical projects around their homes and businesses. The sections below highlight everyday jobs and straightforward project options.

Black Ant Extermination
Black Ant Extermination

Black ants can become a common nuisance for property owners in Carrollton, TX, especially during warmer months when these insects seek food and shelter. They often invade kitchens, pantries, and outdoor spaces, making it important to address infestations promptly to prevent them from spreading further throughout the property. Local pest control professionals offer services to identify ant entry points, eliminate colonies, and implement preventative measures to keep homes and businesses ant-free.

Property owners may seek black ant extermination services for various reasons, including the desire to maintain a clean and hygienic environment or to protect food storage areas from contamination. Additionally, ongoing ant activity can lead to larger infestations that are more difficult to manage over time. Connecting with local pest control providers can help address these concerns with targeted treatments and advice on reducing attractants around the property.

Get a Black Ant Extermination Quote

Why are black ants attracted to my home? Black ants are drawn to food sources, water, and shelter inside homes, especially in kitchens and bathrooms.

How can I prevent black ant infestations? Keeping surfaces clean, sealing entry points, and removing food debris can help reduce the likelihood of black ant problems.

What methods do extermination professionals use to eliminate black ants? Local service providers typically use targeted treatments, baits, and barriers to control and eliminate black ant colonies.

Are black ants a sign of larger pest issues? Yes, their presence can indicate accessible food or water sources that may attract other pests as well.

How long does black ant extermination typically take? Treatment duration varies depending on the extent of the infestation and the methods used; a local professional can provide more specific information.

Black Ant Extermination Solutions - Local service providers can assess infested areas and recommend targeted removal strategies.

Inspection and Identification - Pros can identify black ant nesting sites and determine the extent of the infestation.

Treatment Options - Experts offer various treatment methods to effectively eliminate black ant colonies from residential or commercial properties.

Ongoing Prevention - Service providers can advise on measures to prevent future black ant invasions and maintain pest-free spaces.

Black Ant Extermination

Considering Black Ant Extermination for a property in Carrollton, TX? The sections above highlight common project types, practical options, and details that often shape the scope of work.

When you are ready, use the quote form to share a few details about your project. Local pros can review the basics and respond with options that match what you have in mind.

Get a Black Ant Extermination Quote

Black Ant Extermination Quotes

Our Trusted Partners
Cantu Pest Control
Orkin
Hawx Pest Control