Local Service Overview

Get Red Ant Extermination in Rowlett, TX

Red Ant Extermination services for Rowlett, TX, and nearby areas address pest infestations, rodent control, termite treatments, and wildlife removal for residential and commercial properties.

Rowlett, TX

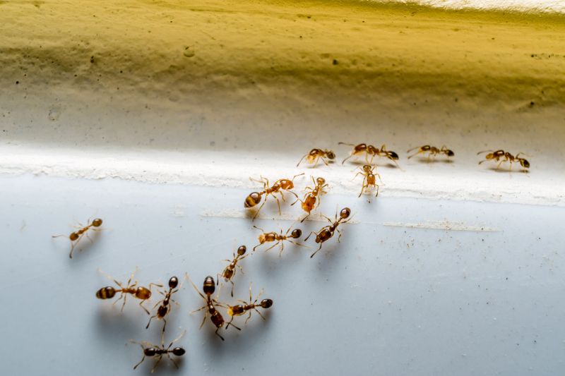
Red ant extermination services provide property owners in Rowlett, TX with an effective solution to manage and prevent ant infestations. These pests can pose concerns related to comfort and safety, especially when nests are located near living or outdoor areas. Professional extermination helps ensure that homes remain comfortable and free from unwanted pests, reducing the risk of ant-related issues that could impact daily routines and overall well-being.

Engaging with local pest control providers for red ant extermination offers benefits such as enhanced property durability and improved curb appeal. Removing ant colonies can minimize damage to landscaping and structures, while also decreasing the need for ongoing maintenance. This proactive approach supports a safe, functional outdoor environment, contributing to the property's overall appearance and long-term resilience.

Get Red Ant Extermination Quotes

  • Red ant extermination services are essential for homeowners dealing with persistent ant infestations in residential or commercial properties.
  • Professional pest control can help address red ant problems in areas experiencing increased activity during warmer months.
  • Local service providers are available to assist in eliminating red ant colonies in neighborhoods throughout Rowlett, TX, and nearby regions.
  • Red ant control is recommended when colonies have become invasive, affecting the safety and comfort of indoor and outdoor spaces.
  • Expert extermination services can help prevent future red ant outbreaks and protect property value in affected communities.

Get Red Ant Extermination Quotes

Red Ant Extermination
Red Ant Extermination
Red Ant Extermination

Red ant extermination services focus on identifying and eliminating red ant colonies that invade residential and commercial properties. These services typically involve thorough inspections to locate nests and assess the extent of the infestation. Treatment options may include the application of targeted insecticides, baiting systems, and barrier methods designed to eradicate the ants at their source. The goal is to reduce or eliminate the presence of red ants, preventing further intrusion and damage.

Red ants can pose various problems for property owners. Their presence often leads to nuisance issues, such as persistent bites or stings, which can be particularly problematic for households with children or pets. Additionally, red ants may damage plants, wooden structures, or other materials by nesting within or feeding on them. An infestation can also attract other pests or create an unsightly environment, prompting property owners to seek professional extermination services to restore safety and comfort.

This type of pest control service is commonly used on a range of property types, including single-family homes, apartment complexes, and commercial buildings. Residential properties are frequently targeted due to the nuisance and health concerns associated with red ants. Commercial properties, such as restaurants, warehouses, and retail stores, may also require extermination services to maintain a pest-free environment and comply with health regulations. In all cases, local pest control providers tailor their approaches to the specific needs of each property.

Professional red ant extermination services help property owners address infestations efficiently and effectively. By working with experienced local service providers, property owners can access customized treatment plans designed to eliminate red ants and prevent future invasions. These services often include follow-up inspections and treatments to ensure the problem is fully resolved. Contacting a local pest control professional can be a practical step toward managing red ant issues and maintaining a pest-free property.

The overview below groups typical Red Ant Extermination projects into broad ranges so you can see how smaller, mid-sized, and larger jobs often compare in Rowlett, TX.

In many markets, a large share of routine jobs stays in the lower and middle ranges, while only a smaller percentage of projects moves into the highest bands when the work is more complex or site conditions are harder than average.

Initial Inspection and Treatment - The cost for an initial pest inspection and treatment typically ranges from $150 to $300. Prices may vary based on the size of the property and the extent of the infestation.

Per-Visit Service - Red Ant Extermination services often charge between $100 and $250 per visit for ongoing pest control. The frequency of visits can influence the overall cost.

Quarterly Pest Control Plans - Monthly or quarterly treatment plans generally cost between $200 and $500 annually. These plans include regular treatments to prevent red ant infestations.

Large Property or Complex Treatments - For larger properties or more complex infestations, costs can range from $400 to $800 or more. Additional charges may apply for extensive treatments or special conditions.

Actual totals will depend on details like access to the work area, the scope of the project, and the materials selected, so use these as general starting points rather than exact figures.

Get a Red Ant Extermination Quote

Ant Extermination - Local pest control providers offer specialized services to eliminate ant infestations and prevent future colonies from forming.

Termite Control - Contractors in the area provide termite inspection and treatment solutions to protect structures from damage caused by termites.

Carpenter Ant Removal - Service providers address carpenter ant issues that can compromise wood structures and provide ongoing prevention strategies.

Pavement Ant Extermination - Local pros offer targeted treatments to control pavement ants commonly found around residential and commercial properties.

Fire Ant Management - Experts deliver fire ant control services to reduce aggressive colonies that can pose risks to people and pets.

Wildlife and Pest Prevention - Professionals assist with integrated approaches to prevent ant and other pest re-infestations around properties.

Red Ant Extermination

When evaluating local pros for red ant extermination services, it’s important to consider their experience in handling ant infestations similar to those encountered in Rowlett, TX and surrounding areas. Experienced providers typically have a history of managing a variety of ant issues, which can contribute to more effective treatment plans. While experience alone isn’t a guarantee of quality, it often correlates with a deeper understanding of ant behaviors and the most successful methods to eliminate them.

Clear communication and well-defined expectations are essential when working with a local pest control professional. Reputable providers are likely to outline their approach, discuss potential outcomes, and clarify any necessary follow-up steps. This transparency helps ensure that homeowners understand what to expect from the service and can make informed decisions. Additionally, a professional’s ability to listen and respond promptly to questions or concerns can be a strong indicator of their commitment to customer satisfaction.

References and reputation are valuable indicators when choosing a pest control provider. Homeowners can seek out local pros with positive references from previous clients or good reviews within the community. Trusted providers often have a history of reliable service and professionalism, which can be verified through word-of-mouth or online reputation platforms. Effective communication and a reputable track record help build confidence that the selected service provider will deliver quality results and maintain a professional relationship throughout the process.

Get a Red Ant Extermination Quote

Property owners in Rowlett, TX use Red Ant Extermination services for practical projects around their homes and businesses. The sections below highlight everyday jobs and straightforward project options.

Red Ant Extermination
Red Ant Extermination

Red ant extermination services are commonly sought by property owners in Rowlett, TX, who notice persistent ant activity around their homes or businesses. These pests can invade kitchens, gardens, and outdoor living areas, often creating nuisances or concerns about potential infestations. Local service providers are often contacted to assess the situation, identify ant species, and implement targeted treatment methods to eliminate colonies and prevent future issues.

Homeowners and property managers in Rowlett may also seek professional help when ant problems become difficult to control with DIY methods. Factors such as increased ant activity during warmer months or the presence of large colonies can prompt the need for specialized treatments. Local pros can provide solutions to address these everyday challenges, helping to protect properties from ongoing ant-related concerns.

Get a Red Ant Extermination Quote

What are common signs of a red ant infestation? Signs include visible trails of ants, mounds in the yard, and ants entering indoor spaces.

How do pest control professionals eliminate red ants? They typically use targeted treatments such as baits and insecticides to eradicate colonies.

Are red ant treatments safe for pets and children? Professionals use treatments that are generally safe when applied correctly; it’s best to discuss concerns with the service provider.

How long does red ant extermination typically take? The duration varies depending on the extent of the infestation and the treatment methods used.

What steps can homeowners take to prevent red ant infestations? Maintaining clean yards, sealing entry points, and removing food sources can help prevent future problems.

Red Ant Extermination Solutions - Local pest control providers offer specialized services to eliminate red ants from residential and commercial properties.

Inspection and Identification - Professionals can assess infested areas to determine the extent of the red ant problem and recommend effective treatment options.

Targeted Treatment Methods - Service providers utilize various techniques, including baiting and barrier treatments, to effectively control and prevent red ant colonies.

Preventive Strategies - Experts advise on measures to reduce attractants and prevent future infestations of red ants around properties.

Red Ant Extermination

Considering Red Ant Extermination for a property in Rowlett, TX? The sections above highlight common project types, practical options, and details that often shape the scope of work.

When you are ready, use the quote form to share a few details about your project. Local pros can review the basics and respond with options that match what you have in mind.

Get a Red Ant Extermination Quote

Red Ant Extermination Quotes

Our Trusted Partners
Cantu Pest Control
Orkin
Hawx Pest Control