Local Service Overview

Get Red Ant Extermination in Garland, TX

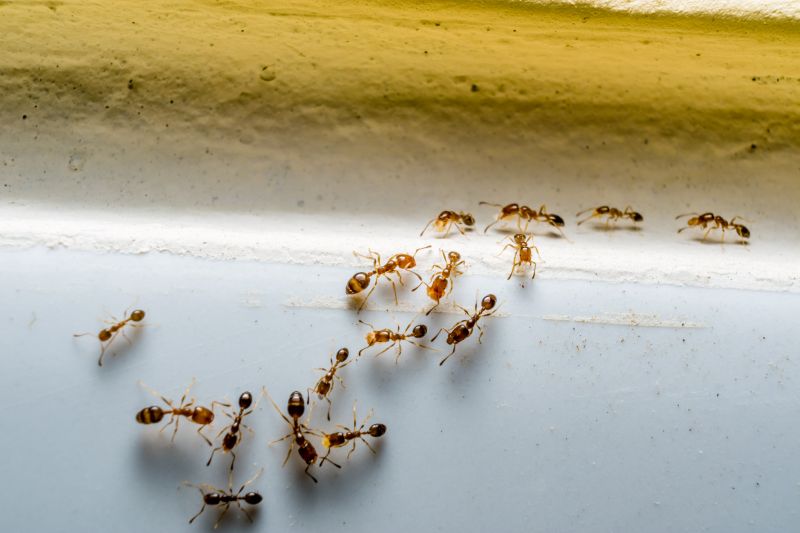
Red Ant Extermination services for property owners in Garland, TX, and nearby areas address pest infestations such as ants, termites, roaches, and rodents through comprehensive treatment and prevention projects.

Garland, TX

Red ant extermination services are essential for property owners in Garland, TX seeking to protect their homes and outdoor spaces from invasive pests. These services help prevent damage to structures, reduce the risk of bites or allergic reactions, and maintain a comfortable living environment. By addressing ant infestations promptly, property owners can enjoy a safer, more functional outdoor area that minimizes disruptions and the need for ongoing pest management.

Choosing professional ant extermination can also enhance curb appeal and durability of a property. Eliminating visible ant activity and preventing future invasions contribute to a cleaner, more inviting appearance. Additionally, effective pest control can reduce the frequency of maintenance required to keep outdoor spaces in good condition, supporting long-term property value and overall satisfaction with the home environment.

Get Red Ant Extermination Quotes

  • Red Ant Extermination services are essential when red ants invade residential or commercial properties in Garland, TX, and surrounding areas. Ant infestation control is needed when colonies threaten garden landscapes or indoor spaces. Pest removal services are sought after when red ants establish nests in lawns, patios, or building foundations. Insect eradication may be necessary when red ants pose a nuisance or potential health concern. Ant colony elimination is advised for ongoing issues that persist despite basic pest management efforts.

Get Red Ant Extermination Quotes

Red Ant Extermination
Red Ant Extermination
Red Ant Extermination

Red ant extermination services focus on removing and controlling red ant populations from residential, commercial, and outdoor properties. These services typically involve the application of targeted treatments to eliminate existing colonies and prevent future infestations. Exterminators often use specialized baits, insecticides, and barrier treatments to address the problem effectively. The goal is to reduce red ant activity and protect the property from ongoing issues caused by these pests.

Red ants can pose various problems for property owners. Their aggressive nature and large colonies can lead to painful stings, which may cause allergic reactions in some individuals. Additionally, red ants tend to invade food sources, damaging gardens, landscaping, and even indoor spaces. Their presence can also indicate underlying issues with moisture or structural vulnerabilities that require attention. Professional extermination helps mitigate these concerns by targeting the source of the infestation and implementing long-term control measures.

Properties that frequently utilize red ant extermination services include single-family homes, apartment complexes, restaurants, and retail establishments. Outdoor spaces such as lawns, gardens, and playgrounds are common areas where red ants establish colonies, making regular pest control essential. Commercial properties, especially those involved in food service or hospitality, often seek extermination to maintain hygiene standards and prevent disruptions caused by ant activity. In residential settings, homeowners may opt for extermination to ensure safety and comfort for their families.

Engaging with local pest control providers for red ant extermination ensures tailored solutions suited to specific property needs. These professionals assess the extent of the infestation, identify potential entry points, and recommend appropriate treatment plans. Regular inspections and preventative treatments can help maintain a pest-free environment, reducing the likelihood of future infestations. Contacting experienced local providers can be an effective step toward managing red ant problems and safeguarding property value and comfort.

The overview below groups typical Red Ant Extermination projects into broad ranges so you can see how smaller, mid-sized, and larger jobs often compare in Garland, TX.

In many markets, a large share of routine jobs stays in the lower and middle ranges, while only a smaller percentage of projects moves into the highest bands when the work is more complex or site conditions are harder than average.

Initial Inspection - The cost for an initial pest inspection typically ranges from $50 to $150, depending on the property's size and complexity. For example, a standard home in Garland might be on the lower end, while larger properties could be higher.

Pest Treatment - Treatment services generally cost between $200 and $500 for a typical infestation, with prices varying based on the extent of the problem and the type of pests involved.

Follow-Up Visits - Follow-up treatments or inspections usually range from $75 to $200 per visit, depending on the service provider and the number of visits needed to ensure pest control.

Specialized Services - Extermination of specific pests like termites or bed bugs can cost anywhere from $500 to over $2,000, influenced by the severity of the infestation and treatment methods required.

Actual totals will depend on details like access to the work area, the scope of the project, and the materials selected, so use these as general starting points rather than exact figures.

Get a Red Ant Extermination Quote

Ant Extermination - Local pest control providers offer services to eliminate and prevent ant infestations in residential and commercial properties.

Cockroach Control - Pros specializing in cockroach extermination help address infestations and implement measures to keep spaces pest-free.

Termite Treatment - Service providers offer treatments to protect structures from termite damage and control existing infestations.

Bee and Wasp Removal - Local experts assist with safe removal of bee and wasp nests to prevent stings and property damage.

Rodent Exclusion - Professionals provide rodent control services to eliminate mice and rats and secure entry points to prevent future invasions.

General Pest Control - Local pest control companies offer comprehensive services to manage various pests, including red ants and other common nuisances.

Red Ant Extermination

When evaluating Red Ant Extermination services, homeowners should consider the experience of local service providers. An established provider typically has a history of handling ant infestations effectively within the community, which can be a sign of familiarity with common local challenges. It’s beneficial to review the background of prospective pros, focusing on how long they have been operating in the Garland, TX area and their familiarity with the specific behaviors of red ants in the region. This can help ensure that the selected professional has the practical knowledge needed to address the problem efficiently.

Clear and detailed written expectations are essential when working with local pest control providers. Reputable service providers often outline their approach, what homeowners can expect during the treatment process, and any necessary follow-up steps. Having this information in writing helps establish transparency and ensures that both parties are aligned on the scope of work. Homeowners should seek providers who communicate their procedures clearly and are willing to answer questions about treatment methods, safety considerations, and post-service recommendations.

Reputation and references play a vital role in selecting a reliable local extermination professional. Homeowners can benefit from seeking referrals or reviews from neighbors, friends, or community sources who have previously used the services. Reputable providers often have a track record of satisfied clients and positive feedback, which can serve as a useful indicator of consistent quality. Additionally, effective communication throughout the process-such as prompt responses and willingness to address concerns-can contribute to a smoother experience and greater confidence in the chosen service provider.

Get a Red Ant Extermination Quote

Property owners in Garland, TX use Red Ant Extermination services for practical projects around their homes and businesses. The sections below highlight everyday jobs and straightforward project options.

Red Ant Extermination
Red Ant Extermination

Red ant extermination services are commonly sought by property owners in Garland, TX, who notice persistent ant activity around their homes or businesses. These ants can invade indoor and outdoor spaces, creating nuisance and potential damage. Local service providers are often contacted to assess the situation and implement targeted treatments to eliminate ant colonies and prevent future infestations.

Property owners may also seek red ant extermination when they observe signs of large ant mounds or increased activity near foundations, gardens, or patios. Effective removal can help maintain a clean and safe environment, especially during warmer months when ant activity tends to rise. Connecting with experienced local pros can assist in addressing these common pest issues efficiently.

Get a Red Ant Extermination Quote

What are common signs of a red ant infestation? Signs include visible red ants around the property, trails leading to nests, and small piles of soil or debris near entry points.

How do extermination services typically eliminate red ants? Local service providers often use targeted treatments such as baiting, dust, or liquid insecticides to effectively control red ant populations.

Are red ants dangerous to humans and pets? Red ants can bite and may cause allergic reactions in some individuals; it’s advisable to seek professional removal if an infestation is present.

How long does a typical red ant extermination treatment take? Treatment durations vary, but most services aim to eliminate active colonies within a few days to a week.

Can red ants return after treatment? While professional treatments significantly reduce the likelihood of return, ongoing prevention measures may be recommended by local providers to maintain control.

Red Ant Extermination services help eliminate infestations and prevent future issues through targeted treatment options.

Professional pest control providers in Garland and nearby areas can assess the extent of ant problems and recommend effective solutions.

Contact local pest control specialists to learn about treatment plans tailored to residential or commercial properties.

Scheduling a consultation with an extermination expert can assist in identifying ant activity and implementing control measures.

Red Ant Extermination

Considering Red Ant Extermination for a property in Garland, TX? The sections above highlight common project types, practical options, and details that often shape the scope of work.

When you are ready, use the quote form to share a few details about your project. Local pros can review the basics and respond with options that match what you have in mind.

Get a Red Ant Extermination Quote

Red Ant Extermination Quotes

Our Trusted Partners
Cantu Pest Control
Orkin
Hawx Pest Control