Local Service Overview

Get Ants Extermination Service in Kaufman County, TX

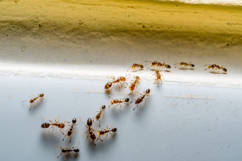
Ants extermination services for property owners in Kaufman County, TX, address ant infestations, prevent future invasions, and handle residential and commercial pest control projects.

Kaufman County, TX

Ants extermination services provide property owners in Kaufman County, TX with effective solutions to manage and eliminate ant infestations. These services help maintain a comfortable living environment by preventing the nuisance and potential health concerns associated with ant colonies. Additionally, professional extermination can protect the structural integrity of a property by reducing the risk of damage caused by ants nesting in walls, foundations, or other critical areas, thereby enhancing the overall durability of the property.

Choosing expert ant control also offers benefits related to safety and convenience. Proper treatment methods can minimize the need for ongoing maintenance and reduce the likelihood of recurring problems. This contributes to improved curb appeal by keeping outdoor and indoor spaces clean and free of unsightly ant activity. Overall, professional extermination supports a safe, functional, and aesthetically pleasing property environment for residents and visitors alike.

Get Ants Extermination Service Quotes

  • Ant Infestation Removal - needed when ants invade homes or businesses in Kaufman County, TX and surrounding areas.
  • Ant Control Treatments - suitable for preventing recurring ant problems in residential or commercial properties.
  • Kitchen Ant Extermination - required when ants are found in food preparation areas or pantry spaces.
  • Outdoor Ant Barrier Services - used to protect yards and gardens from ant colonies near residential properties.
  • Ant Nest Elimination - necessary when large ant colonies are discovered beneath structures or in landscaping.

Get Ants Extermination Service Quotes

Ants Extermination Service
Ants Extermination Service
Ants Extermination Service

Ants extermination services involve identifying and eliminating ant infestations within residential, commercial, or industrial properties. Professionals typically conduct thorough inspections to determine the species involved and locate nests or entry points. Treatment methods may include the application of targeted insecticides, baiting systems, or barrier treatments designed to eradicate the colony and prevent future invasions. These services aim to address the root causes of ant problems, ensuring that the pests are effectively removed from the property.

Ant infestations can cause a range of problems for property owners. Aside from the nuisance of constant ant activity, certain species can contaminate food supplies and damage structures by nesting in walls, foundations, or insulation. In some cases, ants may also indicate underlying issues such as moisture problems or structural vulnerabilities that need attention. Professional extermination services help mitigate these issues by not only removing existing colonies but also advising on measures to reduce the likelihood of re-infestation.

Various types of properties utilize ants extermination services, including single-family homes, apartment complexes, restaurants, and retail establishments. Residential properties often seek treatment to protect food storage areas and maintain cleanliness. Commercial properties, especially food service establishments, require regular pest control to meet health and safety standards. Additionally, warehouses and industrial facilities may engage pest control services to prevent infestations that could disrupt operations or compromise stored goods.

Engaging with local pest control providers ensures that property owners receive tailored solutions suited to their specific needs. These professionals are equipped to handle different ant species and infestation sizes, offering effective treatment options. Regular inspections and preventative treatments can help maintain a pest-free environment, reducing the risk of recurring problems. Contacting a local expert is a practical step toward managing ant issues and safeguarding the property’s integrity.

The overview below groups typical Ants Extermination Service projects into broad ranges so you can see how smaller, mid-sized, and larger jobs often compare in Kaufman County, TX.

In many markets, a large share of routine jobs stays in the lower and middle ranges, while only a smaller percentage of projects moves into the highest bands when the work is more complex or site conditions are harder than average.

Initial Inspection - The cost for an ant extermination inspection typically ranges from $50 to $150. This fee covers assessing the extent of the ant problem and identifying nesting sites. Prices may vary based on property size and complexity.

Standard Treatment - A standard ant extermination treatment usually costs between $100 and $300. This includes applying targeted pesticides and bait stations to eliminate colonies. Larger or heavily infested properties may incur higher charges.

Multiple Treatments - For ongoing or multiple treatment sessions, costs can range from $200 to $500. This ensures continued control and addresses any new ant activity over time. Service providers may adjust prices based on the severity of the infestation.

Preventive Services - Preventive ant control services generally cost between $75 and $200. These treatments aim to create a barrier around the property to deter future ant invasions. The price varies depending on property size and treatment scope.

Actual totals will depend on details like access to the work area, the scope of the project, and the materials selected, so use these as general starting points rather than exact figures.

Get an Ants Extermination Service Quote

Ants Extermination services involve professionals who specialize in identifying and eliminating ant colonies within residential and commercial properties in Kaufman County, TX. These providers utilize targeted treatment methods to effectively control ant infestations.

Ants Control for Homes includes tailored solutions to address ant problems in kitchens, basements, and other common areas, helping to restore a pest-free environment.

Commercial Ants Removal services focus on protecting business spaces from ant invasions, ensuring compliance with health standards and maintaining a clean appearance.

Outdoor Ants Treatment involves treating yards, gardens, and surrounding landscapes to prevent ants from entering indoor spaces and to reduce outdoor colonies.

Ants Inspection Services provide thorough assessments to locate ant nests and determine the extent of the infestation, guiding effective treatment strategies.

Preventative Ants Management services aim to establish barriers and ongoing treatments that reduce the likelihood of future ant invasions in local properties.

Ants Extermination Service

When selecting a professional for ant extermination services, it’s important to consider their experience in handling pest issues similar to those encountered in Kaufman County, TX and neighboring areas. Established local providers often have a history of managing ant infestations effectively, which can be a valuable indicator of their familiarity with common challenges and effective treatment methods. Reviewing their reputation through credible references or testimonials can offer insights into their reliability and the quality of their work, helping homeowners make informed decisions based on real experiences within the community.

Clear communication and well-defined expectations are essential when working with a pest control professional. Reputable local service providers typically outline their service procedures, what homeowners can expect during the treatment process, and any necessary follow-up steps. This transparency ensures that homeowners are fully informed and can plan accordingly, reducing potential misunderstandings. Additionally, open lines of communication allow for questions and concerns to be addressed promptly, fostering a smoother service experience.

It’s also beneficial to explore options from multiple local providers to compare their offerings and reputations. Since this platform connects users with local pros rather than performing the work directly, it’s recommended to review each service provider’s credentials, customer feedback, and communication style. This approach helps ensure that the chosen professional aligns with the homeowner’s expectations and requirements for effective ant extermination services, leading to a more satisfactory outcome.

Get an Ants Extermination Service Quote

Property owners in Kaufman County, TX use Ants Extermination Service services for practical projects around their homes and businesses. The sections below highlight everyday jobs and straightforward project options.

Ants Extermination Service
Ants Extermination Service

Ants extermination services are often sought by property owners in Kaufman County, TX, when they notice persistent ant activity around their homes or businesses. Common situations include discovering ant trails in kitchens, pantries, or outdoor areas, which can indicate an ongoing infestation. Homeowners may also seek professional help following an increase in ant sightings during warmer months or after noticing ant mounds or nests on their property.

Property owners might look for extermination services to address issues caused by ants that threaten the comfort and hygiene of their spaces. Ants can invade food storage areas, contaminate surfaces, and create nests that damage landscaping or structures. Engaging local pest control providers can help manage these problems effectively, preventing further infestations and maintaining a clean, safe environment in residential or commercial properties.

Get an Ants Extermination Service Quote

How do ant extermination services work? Ant extermination services typically involve identifying ant entry points and nesting areas, then applying targeted treatments to eliminate colonies and prevent future infestations.

Are ant extermination treatments safe for pets and children? Many extermination methods are designed to be safe around pets and children, but it’s best to consult with local service providers for specific product information.

How long does an ant extermination treatment last? The duration of effectiveness varies depending on the treatment type and extent of the infestation; local pros can provide guidance on maintenance and follow-up options.

Will I need multiple visits for ant removal? Some ant infestations may require more than one treatment or follow-up visits to ensure complete eradication, depending on the severity of the problem.

How can I prevent future ant problems? Preventative measures include sealing entry points, maintaining clean surroundings, and working with local pros to implement ongoing pest management strategies.

Ants Extermination Solutions - Local service providers offer effective ant control methods tailored to residential and commercial properties.

Inspection and Identification - Professionals identify ant species and entry points to develop targeted treatment plans.

Integrated Pest Management - Service providers utilize comprehensive strategies to eliminate ants and prevent future infestations.

Ongoing Monitoring and Maintenance - Experts offer follow-up services to ensure ant problems are fully resolved and do not recur.

Ants Extermination Service

Considering Ants Extermination Service for a property in Kaufman County, TX? The sections above highlight common project types, practical options, and details that often shape the scope of work.

When you are ready, use the quote form to share a few details about your project. Local pros can review the basics and respond with options that match what you have in mind.

Get an Ants Extermination Service Quote

Ants Extermination Quotes

Our Trusted Partners
Cantu Pest Control
Orkin
Hawx Pest Control