Local Service Overview

Get Ants Extermination Service in Kaufman, TX

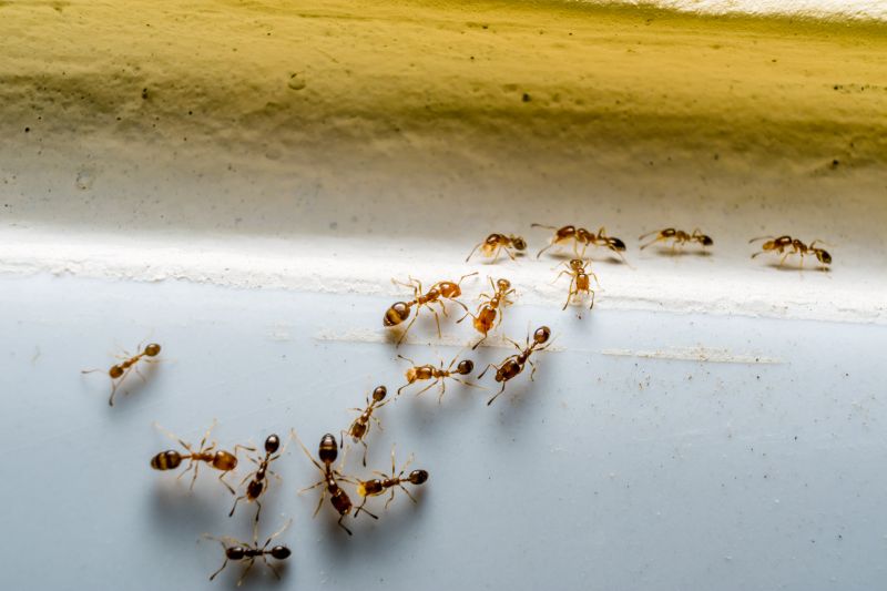
Ants extermination services for property owners in Kaufman, TX, and nearby areas address ant infestations, prevent future invasions, and handle residential and commercial pest control projects.

Kaufman, TX

Ants extermination services offer property owners in Kaufman, TX practical solutions for controlling ant populations and preventing infestations. Effective pest management can help maintain a comfortable living or working environment by reducing the presence of unwanted insects. Additionally, addressing ant issues promptly can enhance safety by preventing potential damage to structures and belongings, while also preserving the functionality of outdoor and indoor spaces.

Choosing professional ant extermination can lead to benefits such as increased durability of property features by preventing structural damage caused by ants and their colonies. It can also contribute to improved curb appeal by keeping lawns, gardens, and building exteriors free of visible pests and nests. Overall, these services help property owners enjoy a more secure, attractive, and low-maintenance environment.

Get Ants Extermination Service Quotes

  • Ants Extermination - individuals experiencing persistent ant infestations in residential or commercial properties can seek professional services to eliminate colonies.
  • Ants Extermination - property owners noticing ant trails or nests around their yard may need expert assistance to address the problem effectively.
  • Ants Extermination - those dealing with ant activity in food storage or preparation areas should consider professional pest control solutions.
  • Ants Extermination - residents in areas with seasonal ant activity might require ongoing pest management to prevent future invasions.
  • Ants Extermination - businesses facing ant issues that threaten cleanliness or customer experience may contact local pest control providers for targeted treatments.

Get Ants Extermination Service Quotes

Ants Extermination Service
Ants Extermination Service
Ants Extermination Service

Ants extermination services involve professional treatment methods designed to eliminate ant colonies and prevent future infestations. These services typically include thorough inspections to identify the extent of the ant problem, followed by targeted application of insecticides or baiting systems. The goal is to eradicate existing ants and disrupt their nesting sites, reducing the likelihood of recurring issues. Experts may also advise on structural or environmental modifications to make properties less attractive to ants, helping to maintain a pest-free environment over time.

Ant infestations can create various problems for property owners, from nuisance and inconvenience to potential damage. Certain ant species, such as carpenter ants, can compromise the structural integrity of wood in homes or commercial buildings, leading to costly repairs if left unchecked. Additionally, ants can contaminate food supplies and surfaces, posing health concerns in residential kitchens or food service establishments. Professional extermination services help address these issues efficiently, minimizing disruption and restoring comfort and safety to affected spaces.

Properties that typically utilize ant extermination services include residential homes, apartment complexes, and commercial establishments like restaurants and grocery stores. Homes in suburban or wooded areas often experience higher ant activity due to proximity to natural habitats. Commercial properties, especially those involved in food handling or storage, seek professional pest control to ensure compliance with health regulations and maintain a hygienic environment. Even multi-unit buildings may require coordinated efforts to manage ant populations across shared spaces and prevent cross-contamination.

Engaging local pest control providers for ant extermination offers a tailored approach suited to specific property needs. These professionals conduct detailed assessments to determine the species involved and the most effective treatment strategies. They also provide guidance on preventative measures to reduce the risk of future infestations. Whether dealing with a small residential issue or a larger commercial concern, property owners can find experienced service providers equipped to handle ant problems efficiently and discreetly, helping to protect their spaces from persistent pests.

The overview below groups typical Ants Extermination Service projects into broad ranges so you can see how smaller, mid-sized, and larger jobs often compare in Kaufman, TX.

In many markets, a large share of routine jobs stays in the lower and middle ranges, while only a smaller percentage of projects moves into the highest bands when the work is more complex or site conditions are harder than average.

Per-Visit Treatments - The cost for a single ant extermination visit typically ranges from $100 to $250, depending on the extent of the infestation and property size. Some providers may charge around $150 for a standard treatment in Kaufman, TX area.

Initial Inspection and Treatment - An initial inspection combined with treatment services usually costs between $200 and $400. Larger properties or severe infestations may fall toward the higher end of this range.

Ongoing Pest Management - Monthly or quarterly ant control plans can cost from $50 to $150 per visit, with annual contracts averaging around $600 to $1,800. These plans often include regular inspections and treatments to prevent future infestations.

Bulk or Area Treatments - Treating larger areas or multiple units might range from $300 to $800 per session, depending on the size and complexity of the property. Some service providers may charge more for extensive or hard-to-reach areas.

Actual totals will depend on details like access to the work area, the scope of the project, and the materials selected, so use these as general starting points rather than exact figures.

Get an Ants Extermination Service Quote

Ants Extermination - Local pest control providers offer specialized services to eliminate ant infestations in residential and commercial properties. They assess the extent of the problem and implement targeted treatment solutions.

Ant Nest Removal - Service providers identify and remove ant nests to prevent future invasions, ensuring a thorough approach to pest management. This helps in reducing ant populations effectively.

Barrier Treatments for Ants - Professionals apply barrier treatments around structures to create a protective zone against ant entry. These treatments are designed to provide ongoing protection from ant intrusions.

Indoor Ant Control - Local pros use interior treatment methods to address ant problems inside homes and buildings. They focus on eliminating visible ants and preventing re-entry.

Outdoor Ant Control - Pest control experts treat outdoor areas such as gardens and lawns to target ant colonies and reduce the likelihood of indoor infestations. This includes soil treatments and habitat modification advice.

Ant Prevention Consulting - Service providers offer guidance on reducing attractants and sealing entry points to prevent future ant problems. This proactive approach supports long-term pest management efforts.

Ants Extermination Service

When selecting a pest control provider for ant extermination services, it is important to consider the experience of the local professionals. Experienced contractors typically have a deeper understanding of ant behaviors and effective treatment methods, which can lead to more efficient and thorough service. Homeowners are encouraged to review the background and years of service of local pros to ensure they are engaging with providers who have a proven track record in handling ant infestations within the community.

Clear communication and well-defined expectations are essential when working with pest control specialists. Reputable local providers often outline their service procedures, what homeowners can expect during and after treatment, and any necessary preparations. Establishing open lines of communication helps prevent misunderstandings and ensures that homeowners are informed about the scope of work, potential follow-up treatments, and safety considerations.

References and reputation are key factors in evaluating local ant extermination services. Reputable providers are often recommended by other homeowners or have positive reviews from previous clients in the area. Homeowners can seek out references or testimonials to gauge the reliability and quality of service offered by local pros. Remember, this platform introduces local options and is not the contractor; it is designed to connect homeowners with qualified service providers who meet their specific needs.

Get an Ants Extermination Service Quote

Property owners in Kaufman, TX use Ants Extermination Service services for practical projects around their homes and businesses. The sections below highlight everyday jobs and straightforward project options.

Ants Extermination Service
Ants Extermination Service

Ants extermination services are often sought by property owners in Kaufman, TX when they notice signs of ant activity around their homes or businesses. Common situations include discovering trails of ants in kitchens, bathrooms, or other indoor areas, especially during warmer months. Property owners may also seek assistance after noticing ant nests near foundations, gardens, or outdoor structures, aiming to prevent potential damage or infestation spread.

In addition to visible ant colonies, property owners might look for extermination services to address recurring ant problems that disrupt daily routines or compromise cleanliness. Whether dealing with sugar ants in the pantry or larger carpenter ants that threaten wood structures, local service providers can help manage these issues effectively. These services are often requested to maintain a comfortable and pest-free environment in residential and commercial properties throughout Kaufman and surrounding areas.

Get an Ants Extermination Service Quote

How do ant extermination services work? Ant extermination services typically involve inspecting the property to identify ant colonies, applying targeted treatments to eliminate nests, and providing recommendations to prevent future infestations.

Are the treatments safe for pets and children? Most professional ant extermination services use treatments that are safe when applied according to the provider’s instructions; it’s advisable to discuss any concerns with the local service provider.

How long does an ant extermination treatment last? The effectiveness duration can vary based on the treatment type and infestation severity, with many treatments providing several months of protection.

Can ant extermination services prevent future infestations? Yes, many providers offer preventative advice and treatments to help reduce the likelihood of future ant problems.

How do I prepare my home for ant extermination? Preparation may include cleaning the area, removing food and water sources, and informing the service provider of any specific concerns or problem areas.

Ants Extermination Techniques - Local service providers offer various methods to eliminate ant infestations, including baiting and barrier treatments.

Identifying Ant Species - Pros can help determine the specific type of ants present to recommend the most effective extermination approach.

Preventative Ant Control - Experts provide advice and services to reduce the likelihood of future ant invasions around residential or commercial properties.

Emergency Ant Extermination Services - Immediate assistance may be available for severe ant infestations that require prompt attention.

Ants Extermination Service

Considering Ants Extermination Service for a property in Kaufman, TX? The sections above highlight common project types, practical options, and details that often shape the scope of work.

When you are ready, use the quote form to share a few details about your project. Local pros can review the basics and respond with options that match what you have in mind.

Get an Ants Extermination Service Quote

Ants Extermination Quotes

Our Trusted Partners
Cantu Pest Control
Orkin
Hawx Pest Control